Blaklob Ignimbriet, Ans en Henk Scheerbom

Zwerfsteenvondst bij de stad Ystad in Zweden

Blåklobb-ignimbriet

 

Tijdens de vakantie in 2014 kampeerden we in de omgeving van Ystad, Zweden, met als einddoel Hamningberg aan de Barentszee, in het land van de Samen. Zo noordelijk waren we nog niet geweest. We zoeken bij onze standplaats in Zweden zowel naar gesteentemonsters van de vaste rots, als ook naar de erratica ter plaatse.

Ongeveer 10 km ten noorden van Ystad, lopend aan het strand van de Oostzee deed Ans een wel zeer onverwachte vondst van een Blåklobb-ignimbriet, die we meteen herkenden aan de hand van enige vaste-rotsmonsters die we hadden gezien. Deze waren enige jaren terug meegenomen door de Fam. Kleis. Het was een goed begin voor de eerste dag in Zweden. Vondsten van de Blåklobb-ignimbriet zijn uiterst zeldzaam, gezien de geringe omvang van het voorkomen dat bekend is.

Herkomstgebied

 

Het herkomstgebied van de Blåklobb-ignimbriet is te vinden in het noordwestelijke deel van de Åland-eilanden voor de Finse kust. Het betreft een klein eilandje voor de kust bij de plaats Skeppsvik (zie bijgaand kaartje). De ignimbriet op het eiland ligt ingesloten in een diabaas met een scherp contact daarmee. Opvallend is, dat de ignimbriet van de vaste rots sterk breccieus is.

 

Ouderdom en onstaanswijze

 

De ignimbriet heeft een sterke stromingsgelaagdheid, een ouderdom van 1,58 miljard jaar en is verwant aan de 1,58 miljard jaar oude Ålandrapakivigraniet-batholiet. De chemische samenstelling van de ignimbriet is nagenoeg gelijk aan die van de Ålandrapakivigesteenten in de batholiet (stollingslichaam), die gevormd zijn bij temperaturen van ongeveer 650-700 graden Celsius. De explosieve eruptie van de ignimbriet heeft echter plaatsgevonden met een veel hogere temperatuur, nl. van ongeveer 950 graden.

Voorafgaand aan de eruptie moet de temperatuur van het magma rond de 1.000 graden zijn geweest, zodat de kwarts- en veldspaatfenokristen, die reeds aanwezig waren bij een temperatuur van 750 graden, door de verhitting van het magma zeer sterk zijn gecorrodeerd, en deels opgesmolten. De toename van 750 graden naar 1.000 graden in een ondiepe magmakamer is veroorzaakt door een injectie van een anorthosiet-mafisch magma. Deze injectie liet de druk van het magma bij afnemende viscositeit zo hoog worden, dat er een eruptie van het felsische magma volgde. Tijdens de explosieve eruptie kwam er veel as vrij die heet genoeg was om de asdeeltjes aaneen te laten smelten, waarbij aan het lava-oppervlak glazige smeltlagen gevormd werden. Deze afwisselende lagen hebben in de matrix van de ignimbriet een lichtere kleur en bestaan uit micrografische vergroeiingen van kwarts en veldspaat. Ook komen er veel sferolieten van veldspaat in voor door de snellere afkoeling. Deze lava werd geïnjecteerd in de matrix van microlieten, met een scherpe begrenzing tussen beide componenten.

De lichtere lagen (flows) bevinden zich in een donkerder matrix van compacte asdeeltjes, die zijn ontglaasd en gerekristalliseerd, alsmede van kwarts, veldspaat en fenokristen hiervan. De mobiele vloeistructuur is duidelijk te zien op foto’s van het slijpplaatje.

Blåklobb-ignimbriet

Blåklobb-ignimbriet gezaag

Lichtere delen met fenokristenen en sferolieten

Sterk gecorrodeerde veldspaten en kwartsen

Sterk gecorrodeerde veldspaten en kwartsen

Sterk gecorrodeerde kwarts

 

Sterk gecorrodeerde kwarts

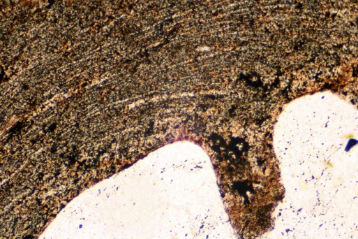
Vloeistruktuur in de donkere matrix

Vloeistruktuur om veldspaten en kwarts in donkere matrix

Vloeistruktuur om veldspaten en kwarts in donkere matrix

Rechts de matrix in gecorrodeerde kaliveldspaat

Twee geresorbeerde bruine kaliveldspaten en kwarts

Vloeistruktuur matrix in kwarts

Plagioklaas in donkere matrix

Pseudomorfose van hematiet naar magnetiet, ook wel martiet genoemd.
Slijpplaat 75x vergroot.

Ans en Henk Scheerboom, 2014

Maak jouw eigen website met JouwWeb